Why Ant Infestations Keep Returning Without Professional Treatment

To prevent ant infestations from returning, local contractors use targeted treatments and ongoing strategies that address underlying causes often missed by DIY methods.

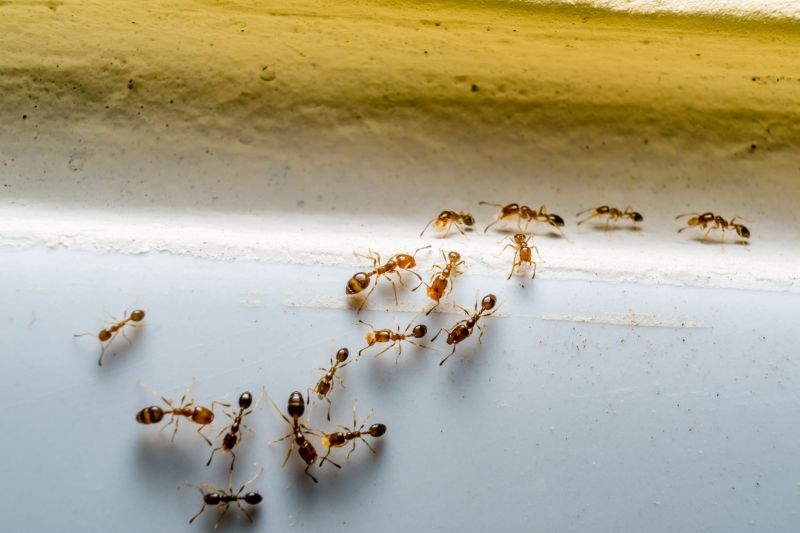
Many property owners find themselves frustrated by ant infestations that keep returning despite repeated attempts at control. Understanding why ant infestations keep returning without professional treatment can help shed light on the underlying issues. Common reasons include hidden nesting sites, persistent food sources, and the ants’ ability to quickly re-establish colonies. Exploring these practical factors can empower homeowners and property managers to take more effective steps toward long-term relief, especially when working with local contractors who specialize in ant pest control. These local service providers are equipped to identify the root causes of recurring infestations and implement targeted solutions that go beyond surface treatments.

For those dealing with ongoing ant problems, recognizing the importance of proper identification and treatment strategies is key. Ant colonies often hide deep within walls, underground, or in hard-to-reach areas, making DIY efforts less effective over time. Local pros can assess the property thoroughly, locate hidden nests, and use integrated approaches to break the cycle of re-infestation. By addressing the core issues that lead to persistent ant activity, property owners can achieve more durable results. Keep reading to learn more about why ant infestations keep returning and how local contractors can help create a pest-free environment.

Get Quotes for Ant Pest Control

  • Common Projects - local contractors can identify persistent ant entry points that cause ongoing infestations and apply targeted treatments to eliminate nests.
  • Common Projects - homeowners dealing with recurring ant problems may need professional inspections to uncover hidden colonies and prevent future returns.
  • Common Projects - service providers can implement barrier treatments and ongoing monitoring to address the reasons why ant infestations keep returning without professional treatment.
  • Common Projects - those frustrated by persistent ant activity might benefit from expert advice on sealing entry points and treating problem areas effectively.
  • Common Projects - local pest control specialists can advise on integrated strategies that address the root causes of why ant infestations keep returning without professional treatment.
Why Ant Infestations Keep Returning Without Professional Treatment
Why Ant Infestations Keep Returning Without Professional Treatment
Why Ant Infestations Keep Returning Without Professional Treatment

Many homeowners search for reasons why ant infestations keep returning without professional treatment because they often notice recurring ant activity despite efforts to eliminate them. This pattern can be frustrating, as it suggests that basic DIY methods or spot treatments are not addressing the root causes of the problem. People typically associate this issue with ongoing nuisance and the potential for ants to invade kitchens, pantries, or other areas where food is stored. Understanding why ants keep coming back is essential for developing effective long-term solutions, and local service providers specializing in ant pest control can help identify underlying issues that DIY methods might overlook.

This problem is often linked to the way ant colonies function and how they establish themselves around properties. Ants form complex colonies with extensive underground nests or hidden entry points that are difficult to locate and treat without professional equipment and expertise. When a colony is left untreated, new worker ants can continually emerge and re-invade the home, especially if access points or attractants remain unaddressed. Homeowners might also notice that ant activity intensifies during certain seasons or after weather changes, which can complicate efforts to control the problem without proper knowledge and tools.

The types of properties most affected by persistent ant problems typically include residential homes, especially those with easy access points like cracks, gaps, or poorly sealed doors and windows. Properties with gardens, mulch beds, or wood piles nearby are more prone to ant activity because these environments provide natural foraging grounds and shelter. Commercial buildings, especially food-related businesses or storage facilities, can also experience ongoing infestations if the root causes are not properly managed. In these cases, local contractors specializing in ant pest control can assess the property’s unique conditions, identify entry points and attractants, and develop targeted treatment plans to prevent future invasions.

Addressing why ant infestations keep returning without professional treatment involves understanding that ants are resilient and highly adaptable. They often find ways to bypass simple barriers or residual treatments, especially when their colonies are deeply established underground or within structural voids. Local pros can employ advanced treatment methods, such as baiting systems and targeted barrier applications, to eliminate colonies at the source. Connecting with experienced service providers ensures that homeowners receive tailored solutions designed to break the cycle of recurring ant activity, making long-term prevention more achievable and reducing the need for repeated DIY efforts.

Home Inspection Projects - professionals who conduct thorough home inspections can identify hidden entry points and nesting sites that contribute to recurring ant infestations, similar to pest control planning.

Wildlife Exclusion Services - wildlife exclusion specialists use similar sealing and barrier methods to prevent pests from re-entering structures, addressing the root causes of ant reinfestation.

Structural Repair Projects - contractors skilled in repairing cracks, gaps, and damaged foundations help eliminate pathways that ants use to access indoor spaces, paralleling pest prevention strategies.

Drainage and Moisture Control - local service providers who improve drainage and moisture management reduce conditions that attract ants, aligning with pest control efforts to disrupt their habitats.

Landscape Maintenance Services - landscapers who manage vegetation and debris near structures help reduce ant nesting sites, similar to integrated pest management approaches.

Sealant and Caulking Projects - specialists applying sealants and caulking block entry points, which is a key step in preventing ant reinfestation without ongoing pest control measures.

Why Ant Infestations Keep Returning Without Professional Treatment

When comparing local contractors for ant pest control services, it is important to consider their experience with similar projects. Homeowners should seek out service providers who have a proven track record of effectively managing ant infestations and addressing the underlying causes that lead to recurring issues. An experienced contractor will understand the common reasons why ant infestations keep returning without professional treatment and will be better equipped to implement solutions that target these root causes, rather than just treating the symptoms.

Clear, written expectations are essential when evaluating potential service providers. Homeowners should look for contractors who can provide detailed explanations of the services they offer, including what treatments will be used, the scope of work, and any follow-up steps necessary to prevent future infestations. Having this information in writing helps ensure that both parties are aligned on the process and reduces misunderstandings. It also allows homeowners to compare different proposals more objectively and select a provider whose approach aligns with their needs.

Reputable references and good communication are key factors in choosing a reliable service provider. Homeowners should ask for references or reviews from previous clients who had similar ant issues, to gauge the contractor’s effectiveness and professionalism. Additionally, a service provider who communicates clearly and promptly can better explain treatment options, answer questions, and provide ongoing support. This level of communication helps homeowners feel confident that the contractor understands the specific challenges of their property and will work collaboratively to develop a comprehensive plan to address why ant infestations keep returning without professional treatment.

Get a Quote for Ant Pest Control

Property owners often search for why ant infestations keep returning without professional treatment when they are planning practical projects around their homes and businesses. Local pros provide Ant Pest Control services for everyday jobs and straightforward project options.

Why Ant Infestations Keep Returning Without Professional Treatment
Why Ant Infestations Keep Returning Without Professional Treatment

Understanding why ant infestations keep returning without professional treatment often relates to common issues found around properties in the area. Many times, ants establish colonies outdoors near sources of food, water, and shelter, then find their way inside through tiny cracks and gaps. Without proper intervention, these colonies can persist and continually send new scouts into the home, leading to recurring infestations. Property owners may notice that DIY efforts or basic sprays only provide temporary relief because they don’t address the root of the problem or the hidden colonies lurking in wall voids, foundations, or yard debris.

Local contractors who specialize in ant pest control understand these common patterns and reasons behind persistent ant issues. They can identify entry points, eliminate outdoor colonies, and implement targeted treatments that break the cycle of returning ants. Engaging with experienced service providers can help property owners develop effective strategies to prevent future invasions, especially when simple solutions fail to deliver lasting results. This makes professional assistance a practical step for those dealing with ongoing ant problems in the area.

Get a Quote for Ant Pest Control

Why do ant infestations keep returning even after cleaning? Ant infestations often return because their colonies can be hidden deep within walls, soil, or other hard-to-reach areas. Local contractors can identify and treat these hidden nests to help prevent recurring issues.

How does ignoring the source contribute to persistent ant problems? Ignoring the source allows the colony to survive and reproduce, leading to repeated infestations. Professional ant pest control services target the colony itself, breaking the cycle of returning ants.

Can ant infestations come back if only the visible ants are removed? Yes, removing only the visible ants does not eliminate the colony or its food sources. Local service providers can locate and treat the colony to reduce the chances of ants returning.

What role do outdoor conditions play in ongoing ant problems? Outdoor conditions like soil, mulch, and cracks provide continuous access points and nesting sites for ants. Local pros can assess and treat outdoor areas to help keep ants from reinfesting indoors.

Why is regular treatment necessary to prevent ant infestations from recurring? Regular treatments help disrupt ant colonies and eliminate new nests before they grow. Local contractors can develop ongoing pest management plans to keep ant problems from returning.

Identifying hidden entry points - property owners can work with local contractors to locate and seal cracks, crevices, and gaps that ants use to enter the building.

Eliminating food and water sources - removing accessible food debris and fixing leaks can reduce attractants, with local pros providing guidance on sanitation practices.

Managing outdoor nesting sites - professionals can help identify and treat outdoor colonies and eliminate nearby sheltering spots that lead to recurring infestations.

Implementing ongoing monitoring - setting up inspections and traps with the help of local service providers can catch early signs of ant activity before they return in full force.

Why Ant Infestations Keep Returning Without Professional Treatment

If you are thinking about why ant infestations keep returning without professional treatment for a property, this guide is meant to help you understand this topic, the typical project types, and how different options might fit your plans.

When you are ready, you can use the quote form on this page to share a few details about your project. From there, local pros can review the basics and follow up with options that match what you have in mind.

Get a Quote for Ant Pest Control

Ant Pest Control Quotes

Our Trusted Partners
Mite T Tech
Get Green Lawn Kings
Kilter Termite and Pest Control