Ant Pest Control Methods That Target Colonies at the Source

People seeking ant pest control methods that target colonies at the source aim to eliminate ants effectively, and local contractors can provide expert solutions to remove nests and prevent future infestations.

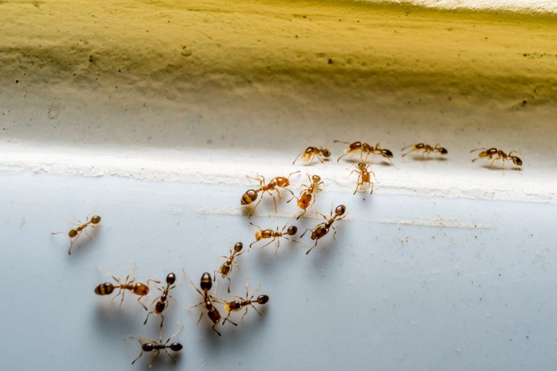
Ant infestations can be more than just a nuisance-they often indicate colonies that are deeply rooted in or around a property. For property owners dealing with persistent ant problems, understanding ant pest control methods that target colonies at the source is essential. These approaches focus on disrupting the colony’s core, preventing future invasions and reducing the need for repeated treatments. If ants are invading your space, exploring these targeted strategies can offer practical solutions for long-term control, and local contractors specializing in ant pest management are equipped to implement them effectively.

Many property owners in the area seek out ant pest control services that address the source of the problem to achieve more comprehensive results. By focusing on eliminating colonies at their core, these methods help reduce ant activity around the property and minimize ongoing issues. Local service providers are experienced in applying these colony-targeting techniques, ensuring that the treatment aligns with the specific needs of your property. Keep reading to learn more about how these effective strategies can help maintain a pest-free environment and how local experts can assist in implementing them.

Get Quotes for Ant Pest Control

  • Ant colony elimination - homeowners noticing large ant colonies near their property may seek local contractors experienced in targeting colonies at the source for effective removal.
  • Barrier treatments for ant control - when ants are actively invading indoor spaces, service providers can apply treatments designed to disrupt colony growth at its origin.
  • Nest removal and soil treatment - in cases where outdoor nests are identified, local pros can perform soil treatments and nest removal to prevent re-infestation.
  • Integrated pest management strategies - property owners aiming for a comprehensive approach often turn to local contractors who implement methods targeting colonies at their source to reduce ant populations.
  • Monitoring and baiting programs - for ongoing control, service providers can establish baiting systems that target ant colonies directly at the source for long-term suppression.
Ant Pest Control Methods That Target Colonies At The Source
Ant Pest Control Methods That Target Colonies At The Source
Ant Pest Control Methods That Target Colonies At The Source

When searching for information about ant pest control methods that target colonies at the source, most people are looking for strategies that eliminate ants by addressing the root of the problem rather than just treating visible trails or nests. Homeowners often face recurring ant issues despite using surface sprays or bait stations, which can be ineffective if the colony remains intact underground or within walls. This approach involves techniques designed to reach the ant colony deep within their nests, disrupting the entire population and preventing future invasions. Understanding this distinction helps property owners choose more effective solutions that focus on the source of the infestation.

These methods are particularly relevant in situations where ants have established large, persistent colonies that are difficult to eradicate with superficial treatments. Problems such as ants invading kitchens, basements, or outdoor structures often stem from colonies located in hidden areas like soil beneath the property or within wall voids. Property owners might plan to eliminate these colonies to prevent damage, contamination, or ongoing nuisance. Local service providers specializing in ant pest control are equipped to implement targeted strategies that focus on the colony’s source, ensuring a more thorough and lasting solution.

Properties that commonly come up in discussions about ant colonies include residential homes, especially those with yards, gardens, or cracks in foundations that provide easy access points. Commercial properties like restaurants, warehouses, or retail spaces also frequently experience ant issues originating from nearby colonies. In addition, outdoor structures such as decks, sheds, or play areas often serve as entry points for ants to establish colonies close to the property. Recognizing the types of properties affected helps homeowners and business owners understand how targeted colony elimination can be integrated into their pest management plans.

Local contractors who specialize in ant pest control methods targeting colonies at the source play a vital role in managing these infestations. They utilize techniques such as baiting systems designed to be carried back to the colony, soil treatments that penetrate underground nests, or targeted application of insecticides directly into known colony sites. These professionals can assess the property to identify potential nesting areas and implement strategies that focus on the source of the ant activity. Connecting with experienced service providers ensures that property owners receive tailored solutions aimed at eliminating colonies at their origin, reducing the likelihood of future ant problems.

Termite Inspection and Treatment - termite control projects often involve locating and treating colonies at the source, utilizing similar inspection tools and planning strategies as ant colony targeting.

Wasp Nest Removal - removing wasp nests requires identifying nest locations and applying targeted removal techniques, paralleling methods used to eliminate ant colonies at their source.

Rodent Exclusion Services - sealing entry points and targeting nesting sites aligns with strategies for controlling ant colonies by disrupting their access and habitat.

Bed Bug Treatment - treatment plans focus on identifying and eradicating hidden infestations, using inspection and targeted application skills similar to ant colony control.

Spider Web Removal and Prevention - managing spider populations involves inspecting and treating nesting areas, which shares planning and tools with ant colony source elimination.

Carpenter Bee Control - eliminating carpenter bees involves locating nesting sites and applying targeted solutions, akin to targeting ant colonies at the source.

Ant Pest Control Methods That Target Colonies At The Source

When evaluating local contractors for ant pest control services, it is important to consider their experience with similar projects, specifically those involving ant colonies and colony-targeting methods. An experienced service provider will have a clear understanding of ant behavior and the most effective strategies to eliminate colonies at the source. Asking about their past work with ant pest control can provide insight into their familiarity with different ant species and the techniques they employ to target colonies directly, ensuring a more comprehensive approach to pest management.

Clear written expectations are essential when choosing a local contractor for ant pest control. A reputable service provider should be able to outline the scope of work, the methods they plan to use, and what results can reasonably be expected. This transparency helps prevent misunderstandings and ensures that homeowners are aware of the process involved in targeting ant colonies at their source. It also provides a basis for evaluating the professionalism of the contractor and their ability to communicate effectively throughout the project.

Reputable references and good communication are key factors in selecting a reliable local contractor for ant pest control services. Service providers with positive references from previous clients can offer reassurance about their ability to deliver consistent results and handle colony elimination effectively. Additionally, a contractor who communicates clearly and promptly can help homeowners feel confident about the process, answer questions thoroughly, and keep them informed about progress. This level of professionalism fosters trust and ensures that the ant pest control efforts are coordinated smoothly from start to finish.

Get a Quote for Ant Pest Control

Property owners often search for ant pest control methods that target colonies at the source when they are planning practical projects around their homes and businesses. Local pros provide Ant Pest Control services for everyday jobs and straightforward project options.

Ant Pest Control Methods That Target Colonies At The Source
Ant Pest Control Methods That Target Colonies At The Source

Ant pest control methods that target colonies at the source are essential for property owners dealing with persistent ant issues. When ants establish large colonies underground or within wall voids, surface treatments often provide only temporary relief. Local contractors specializing in ant control can implement strategies that focus on eliminating the entire colony, including the queen, by applying targeted treatments directly at the nest site. This approach can lead to more effective and longer-lasting results, making it a common consideration for homeowners and business owners facing ongoing ant problems.

Many property owners turn to local service providers to address ant infestations because these professionals have the experience and tools needed to locate and treat colonies at their origin. Whether the colony is hidden beneath a patio, inside a wall, or in the yard, expert contractors can identify the source and apply methods designed to disrupt the colony’s growth cycle. This targeted approach can help prevent future invasions and reduce the need for repeated treatments, offering a practical solution for those seeking to manage ant populations effectively at their property.

Get a Quote for Ant Pest Control

What are effective ant pest control methods that target colonies at the source? Local contractors often use targeted baiting and perimeter treatments to eliminate ant colonies directly at their source, preventing re-infestation.

How do professional ant control services locate the colony at its source? Service providers conduct thorough inspections to identify nesting sites and use specialized tools and techniques to locate colonies hidden in hard-to-reach areas.

Can baiting be used to control ant colonies at the source? Yes, many local pros utilize baiting strategies that attract ants to a poisoned food source, effectively eliminating the colony from within.

Are there specific treatments that target the colony rather than just surface ants? Professional treatments often include soil applications and nest injections that directly target the colony underground or inside structures.

How do local service providers ensure that ant colonies are fully eradicated at the source? They employ integrated pest management approaches, combining multiple methods to locate and treat colonies thoroughly for long-term control.

Identifying Ant Colonies - Property owners can work with local contractors to locate ant nests and colony entry points around their property, enabling targeted treatment efforts.

Applying Baits at Colony Sources - Using ant bait stations strategically placed near colony sites helps eliminate ants at the source, with guidance from local pest control experts.

Soil and Structural Treatments - Local pros can apply treatments directly to soil or structural entry points where colonies establish, disrupting ant nests effectively.

Preventive Barrier Methods - Implementing physical or chemical barriers around the property can prevent ants from accessing colony sites, with advice from experienced service providers.

Ant Pest Control Methods That Target Colonies At The Source

If you are thinking about ant pest control methods that target colonies at the source for a property, this guide is meant to help you understand this topic, the typical project types, and how different options might fit your plans.

When you are ready, you can use the quote form on this page to share a few details about your project. From there, local pros can review the basics and follow up with options that match what you have in mind.

Get a Quote for Ant Pest Control

Ant Pest Control Quotes

Our Trusted Partners
Mite T Tech
Get Green Lawn Kings
Kilter Termite and Pest Control